Działka Likiec
Likiec, kujawsko-pomorskie
- 1 127 000 zł
- 49 000 m²
- 23 zł/m²
Arkadiusz Wąsowi...
Skontaktuj się
Działka Likiec
Likiec, kujawsko-pomorskie
zaktualizowane:
16 kwietnia 2026
Działka Likiec
Zaktualizowane: 16 kwietnia 2026
1 127 000 zł 49 000 m² 23 zł/m²
Warto zadzwonić
wysokie zainteresowanie
rolna
droga utwardzona
kwadrat
-
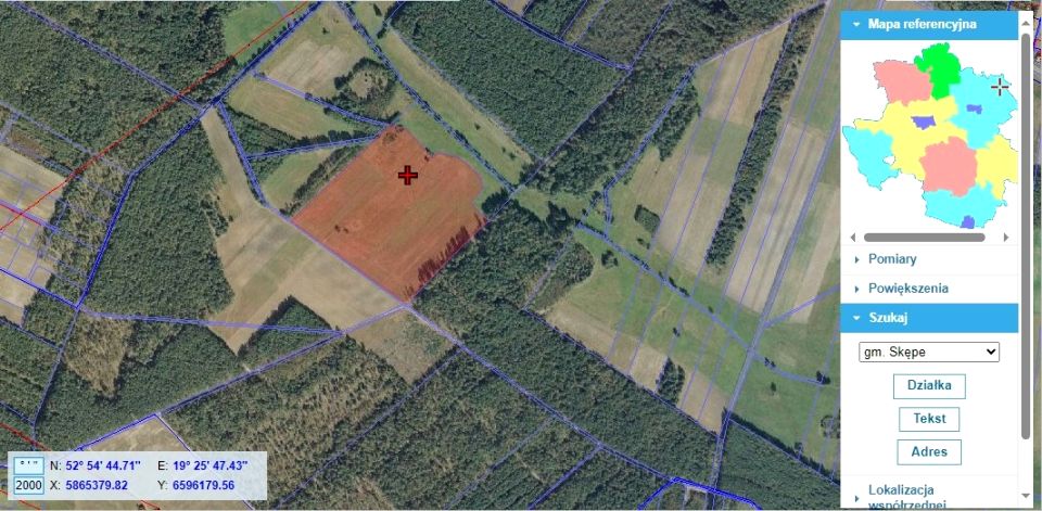
Zobacz na mapie
Rodzaj działki:
rolnaDojazd:
droga utwardzonaKształt:
kwadratMedia:
-Szczegóły ogłoszenia
- Typ oferty: działka na sprzedaż
- Cena: 1 127 000 zł (23 zł/m²)
- Forma własności: własność, księga wieczysta
- Działka: rolna, 49 000 m²
- kształt: kwadrat; długość: 228m; szerokość: 214m; teren płaski, pusta
- dojazd drogą utwardzoną, działka nieogrodzona
- Źródło: biuro nieruchomości: Expander Nieruchomości, zaktualizowane: 16.04.2026
- numer ogłoszenia: 9273038
Lokalizacja
- Adres: Likiec, Skępe, lipnowski, kujawsko-pomorskie
Opis nieruchomości
Działka rolna o pow. 4,90 HA (49000 m2) w miejscowości Likiec w sąsiedztwie lasu, jeziora Łąkie oraz plaży w miejscowości Wólka w cichej i przepięknej okolicy.
W przypadku chęci klienta istnieje możliwość podziału działki.
Działka nie jest uzbrojona.
Potrzebujesz więcej informacji? Zadzwoń, zapytaj!
Wszystkich Państwa zainteresowanych nieruchomością zapraszam serdecznie na prezentację. (...)

